| 所在地 |
東京都八王子市中山 |
||
|---|---|---|---|
| 交通 |
|
||
| 価格 | |||
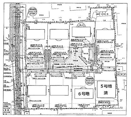
| 土地面積/坪(坪単価) | 134.42m2(実測)/40.73坪(46.20万円) | 代表的な接道 | 一方 私道 北 4.5m ※詳細は備考欄をご確認ください |
| 登録日 | 2025年11月6日 | 有効期限 | 2025年11月20日 (あと13日) |
| 前回情報更新日 | 2025年11月6日 | 次回情報更新日 | 2025年11月21日 |
| この物件のこだわり |
|
|---|---|
| その他 | ●公営水道 ●都市ガス ●下水 ●建築条件付き ●所有権 ●上下水道 ●平坦地 ●更地 ●公園 400m以内 ●中学校 800m以内 ●複数路線 ●子育てに便利な施設が充実 ●オンライン相談可 |
| 物件の状況 | ●即入居可 |
| 位置 | ●低層住宅地 |
| 周辺環境 | ●小学校 800m以内 |
| 土地権利 | 所有権 | ||
|---|---|---|---|
| セットバック | − | 私道負担面積 | 175.81m2 |
| 都市計画 | 市街化区域 | 地目 | 宅地 |
| 用途地域 | 第一種低層住居専用地域 | 国土法届出 | 不要 |
| 総区画数 | − | ||
| 建ぺい率/容積率 | 40%/80% | 保証金または敷金 | − |
| 権利金 | − | 施設費用/償却費 | − |
| その他費用 | − | 地勢 | 平坦 |
| 引渡し | 即時 | 現況 | 更地 |
| 取引形態 | 仲介 | ||
| 設備 | − | ||
| 備考 |
【接道】 一方 ( 私道 北 4.5m ) 八王子市中山の新規開発分譲地に位置する全8区画の物件は、閑静な住宅街で落ち着いた生活環境を提供します。4LDKの間取りに加え、ウォークインクローゼット付きで収納力も充実。広々としたリビングは無垢フローリング仕様で温かみがあります。駐車場は2台分確保されており、車をお持ちの方にも便利です。周辺には生活施設が整い、快適な暮らしが期待できる物件です。 航空法 景観法 高度地区 高さ限度有 宅地造成工事規制区域 日影制限有 下柚木・中山地区地区計画区域 法第22条区域 建築条件付き (建築条件付きとは) |
||
| 小学校 |
|
|---|---|
| 中学校 |
|
| コンビニ |
|
| スーパー |
|
| 病院 |
|
| 公園 |
|
| 商店街 |
|
朝日土地建物株式会社 八王子支店 営業2課
所在地: 東京都八王子市旭町10番3号
免許番号: 国土交通大臣(9)第3744号
所属団体名・公取協名: (公社)首都圏不動産公正取引協議会,(公社)東京都宅地建物取引業協会
お問い合わせ番号: 27327-2309
物件番号: 1231700006469
自社管理番号: ht2-5850-6
無料通話: 0037-634-64243
※音声案内に従いお問い合わせ番号を入力し、自社管理番号を不動産会社に伝えてください。
※光IP電話、及びIP電話からのご利用はいただけません。
TEL: 0120-70-4311
直接お電話する場合は、「中古住宅ホームフォーユーを見て」とお伝えください。
このような失敗をしないためにも、ハウスメーカー選びを同時に進めましょう!
無料相談サービスで効率的に希望の家づくりを!