不動産情報 > 中古住宅 > 土地 >  都道府県選択 >  東京都の市区郡一覧 >  東京都の土地 >  日野市の土地 >  東京都日野市西平山3丁目

土地

東京都日野市西平山3丁目

価格 : 3,480万円

交通情報 :
  • 京王線 長沼 徒歩8分
  • 京王線 平山城址公園 徒歩15分
Point
◇京王線「長沼」駅まで徒歩8分、「平山城址公園」駅まで徒歩15分 ◇全区画南道路に面しており陽当たり良好です ◇今ならお好きなハウスメーカーで建築可能 ◇敷地面積は39坪超えと様々な間取りの検討が可能
  •  【2025年10月撮影】 

  •  【2025年10月撮影】 

  •  【2025年10月撮影】 

  •  【2025年10月撮影】 

  •  【2025年10月撮影】 

  •  【2025年10月撮影】 

  •  【2025年10月撮影】 

  •  【2025年10月撮影】 

  •  【2025年10月撮影】 

  •  建築士との打ち合わせにより、お客様の好きな住まいを実現。 

  •  京王電鉄京王線「長沼」駅迄660m 

  •  マックスバリュエクスプレス平山団地店迄740m 

  •  セブンイレブン 八王子長沼北野店迄990m 

  •  牛尾医院迄1200m 

  •  さいかちぜき公園迄330m 

  •  日野市立日野第四中学校迄1950m 

  •  日野市立滝合小学校迄320m 

  •  打越保育園迄810m 

  •  長沼幼稚園迄900m 

物件の基本情報

所在地

東京都日野市西平山3丁目

交通
  • 京王線 長沼 徒歩8分
  • 京王線 平山城址公園 徒歩15分
価格

3,480万円

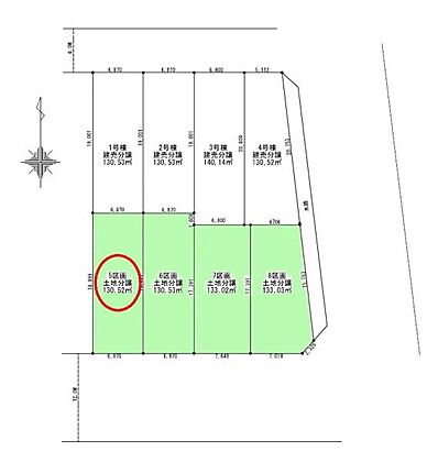
土地面積/坪(坪単価) 130.52m2(実測)/39.55坪(88.00万円) 代表的な接道 一方 公道 南 12m
※詳細は備考欄をご確認ください
登録日 2025年10月26日 有効期限 2025年11月20日 (あと13日)
前回情報更新日 2025年11月4日 次回情報更新日 2025年11月20日

お問合せ内容を指定して不動産会社に連絡してみませんか?

物件の特徴・設備・サービス

この物件のこだわり
  • 角地
  • 低層住居地域
  • 建築条件無
  • 土地権利・所有権
その他 公営水道 都市ガス 下水 建築条件なし 所有権 上下水道 整形地 前面道路6m以上 平坦地 更地 公園 400m以内 子育てに便利な施設が充実
位置 南道路
周辺環境 スーパー 800m以内 小学校 800m以内

物件の詳細情報

土地権利 所有権
セットバック 私道負担面積
都市計画 市街化区域 地目 宅地
用途地域 第一種中高層住居専用地域 国土法届出 不要
総区画数
建ぺい率/容積率 60%/200% 保証金または敷金
権利金 施設費用/償却費
その他費用 地勢 平坦
引渡し 相談 現況 更地

取引形態 仲介
設備
備考 【接道】 一方 ( 公道 南 12m )

日野市西平山エリアで土地分譲を開始いたしました。建築条件なしのため、お好きなハウスメーカーでの建築が可能です。
京王線「長沼」駅までは徒歩8分と通勤、通学にも便利な立地となっています。
南側道路約12mに面しており、全区画陽当たり良好です。
「コピオ北野」までは約1709m、お車で約5分と日々の生活を支えてくれます。また近くには公園があり、休日のお散歩やお子様が遊べるスポットとして活用できます。
是非一度お問い合わせください!
日野市まちづくり条例 高度地区 準防火地域 景観法 宅地造成工事規制区域 日影制限有 高さ限度有 航空法 西平山地区地区計画区域

物件周辺施設までの距離

小学校
  • 日野市立滝合小学校 313m
  • 中学校
  • 日野市立日野第四中学校 1,943m
  • コンビニ
  • 990m
  • スーパー
  • 736m
  • 病院
  • 1,778m
  • 公園
  • 323m
  • 商店街
  • 1,709m
  • 情報提供元:株式会社LIFULL

    物件取り扱い会社

    朝日土地建物株式会社 八王子支店 営業5課
    所在地: 東京都八王子市旭町10番3号
    免許番号: 国土交通大臣(09)第003744号
    所属団体名・公取協名: (公社)首都圏不動産公正取引協議会,(公社)東京都宅地建物取引業協会,(公財)東日本不動産流通機構
    お問い合わせ番号: 37490-2302
    物件番号: 1523910000937
    自社管理番号: ht5-0724-5
    無料通話: 0037-619-20163
     ※音声案内に従いお問い合わせ番号を入力し、自社管理番号を不動産会社に伝えてください。
     ※光IP電話、及びIP電話からのご利用はいただけません。
    TEL: 042-643-6315

    直接お電話する場合は、「中古住宅ホームフォーユーを見て」とお伝えください。

    最寄り駅から土地を探す

    この物件の近くの土地を探す

    icon注文住宅を検討の方へ土地探しとあわせてハウスメーカー選びを始めましょう

    もし、土地探しを先行して進めて「ハウスメーカー選び」を後回しにすると、
    こんな失敗に陥るケースも…

    case.1
    住宅ローンの申請に「ハウスメーカー」の
    建築プランが必要だった
    case.2
    土地に費用をかけすぎて、建物の予算が
    足りなくなった

    このような失敗をしないためにも、ハウスメーカー選びを同時に進めましょう!

    「家づくりのとびら」サービスなら、
    土地探しからハウスメーカー選びまで、徹底サポート!

    • 資金計画のシミュレーションをしてもらえる
    • 予算やこだわりに沿ったハウスメーカーを教えてくれる
    • 土地探しに強いハウスメーカーを案内してくれる

    無料相談サービスで効率的に希望の家づくりを!

    お気に入りへ登録が完了しました
    お気に入りの削除が完了しました

    このページのトップへ

    東京都日野市西平山3丁目の物件情報なら、「中古住宅HOME4U」!
    「中古住宅HOME4U」は、NTTデータ・ウィズが運営する中古物件専門の情報サイトです。 東京都日野市西平山3丁目などの土地をはじめ、全国の新築仲介物件を含む土地情報が満載です。 東京都日野市西平山3丁目などの土地を沿線・エリア・相場価格などから検索でき、複数の不動産会社に無料で一括資料請求ができます。 東京都日野市西平山3丁目などの土地を探すなら、国内最大級の物件数を誇る「中古住宅HOME4U」をご利用ください! また、住み替えをご検討中の方は「不動産売却HOME4U」で、中古住宅の不動産査定をご利用ください。

    閉じる
    閉じる
    閉じる 全国15万棟のマンションの相場や口コミがわかる!完全無料でここまでできる?HOME4Uマンションプライスって知ってる?