- 
                
                  
                現地・モデルハウスのご見学大歓迎!住宅予算を抑えたい方はぜひご見学ください!資料請求・当日見学大歓迎!急なご希望も対応します!電話・メール・LINEで簡単予約!
 - 
                
                  
                土日・祝日・平日いつでも見学できます! この物件が気になる方は、お気軽にお問合せ下さい!
 - 
                
                  
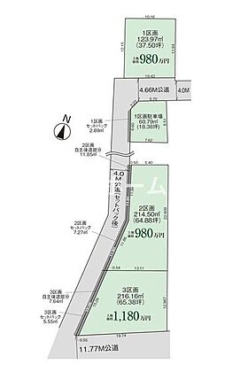
                間取り
 - 
                
                  
                新潟市秋葉区車場1丁目27-6
 - 
                
                  
                ウオエイおぎかわ店まで869m
 - 
                
                  
                セブンイレブン新潟車場店まで703m
 - 
                
                  
                ウエルシア新潟荻川店まで634m
 - 
                
                  
                新潟市立新津第二中学校まで1908m
 - 
                
                  
                新潟市立荻川小学校まで420m
 - 
                
                  
                近隣・周辺環境や町並みなど、資料ではわからない情報がたくさんあります。是非現地にてご確認ください。
 - 
                
                  
                【同社施工例】玄関扉には開錠ラクラクのスマートキーを搭載♪鍵の閉め忘れも安心のオートロック機能(設定による)
 - 
                
                  
                【同社施工例】防犯対策に優れたTVモニター付きインターホンで来客者の確認ができます。
 - 
                
                  
                【同社施工例】蛇口の先端に浄水器を内蔵。場所をとらない画期的な浄水器です。また、浄水器ごとホースを引き出せます。カートリッジ交換も簡単。
 - 
                
                  
                【同社施工例】3口全てに温度センサーが付き、片面焼きグリルも搭載して安全で機能的なガスコンロです。
 - 
                
                  
                【同社施工例】浴室には乾燥の他に換気、暖房、冷風など様々空調機能搭載の浴室乾燥機が完備。
 - 
                
                  
                【同社施工例】浴室乾燥機付きのシステムバスを最大限に活用できる、浴室物干が標準装備!早く乾かしたいお洗濯物も人目につかず乾燥が可能です
 - 
                
                  
                【同社施工例】いつも清潔・快適な温水洗浄つきトイレ♪
 - 
                
                  
                【同社施工例】玄関やバルコニーの出入口を除き、和室の敷居や浴室などの段差のないフルフラット設計!掃除のしやすさや室内空間の開放感だけでなく、住宅内の安全性の向上にもなります。
 - 
                
                  
                【同社施工例】デットスペースを有効活用した床下収納。最大重量は70kgとなっており、防災用品や備蓄の保管にも最適です
 - 
                
                  
                【同社施工例】車の洗車や子供用プール、お庭への散水、BBQなどアウトドア用にも便利な立水栓
 
		
    



















                  
                  
                  
                  
                  
                  
                  
                  
                  
                  
                  
                  
                  
                  
                  
                  
                  
                  
                  
                  


