不動産情報 > 中古住宅 > 土地 >  都道府県選択 >  埼玉県の市区郡一覧 >  埼玉県の土地 >  さいたま市西区の土地 >  埼玉県さいたま市西区大字宝来

土地

埼玉県さいたま市西区大字宝来

価格 : 3,180万円

交通情報 :
  • 川越線 指扇 徒歩18分
  • 川越線 西大宮 徒歩35分
Point
年中無休のエステート白馬、早いレスポンスで正確な情報をお届けします。
  •  外観 

  •  外観 

  •  外観 

  •  外観 

  •  図面と現況が異なる場合は現況を優先させていただきます。  

  •  さいたま市立指扇北小学校(2610m) 

  •  さいたま市立指扇中学校(2420m) 

  •  ローソン さいたま宝来店(680m) 

  •  やおかつ(1080m) 

  •  指扇病院 (840m) 

  •  ドラックスギ 宝来店 (1130m) 

  •  指扇駅前郵便局 (1320m) 

物件の基本情報

所在地

埼玉県さいたま市西区大字宝来

交通
  • 川越線 指扇 徒歩18分
  • 川越線 西大宮 徒歩35分
価格

3,180万円

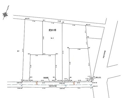
土地面積/坪(坪単価) 270.55m2(登記簿)/81.98坪(38.80万円) 代表的な接道 一方 公道 南 3.5m
※詳細は備考欄をご確認ください
登録日 2025年7月12日 有効期限 2025年11月25日 (あと14日)
前回情報更新日 2025年11月10日 次回情報更新日 2025年11月25日

お問合せ内容を指定して不動産会社に連絡してみませんか?

物件の特徴・設備・サービス

この物件のこだわり
  • 角地
  • 低層住居地域
  • 建築条件無
  • 土地権利・所有権
その他 公営水道 プロパンガス 浄化槽 建築条件なし 所有権 平坦地 更地 複数路線 オンライン相談可
位置 南道路

物件の詳細情報

土地権利 所有権
セットバック 私道負担面積
都市計画 市街化調整区域 地目 宅地
用途地域 無指定 国土法届出 不要
総区画数
建ぺい率/容積率 60%/200% 保証金または敷金
権利金 施設費用/償却費
その他費用 地勢 平坦
引渡し 相談 現況 更地

取引形態 仲介
設備
備考 【接道】 一方 ( 公道 南 3.5m )

管理番号:100134948110 住宅用地 公営水道・プロパンガス・浄化槽
当店には宅地建物取引士やファイナンシャルプランナー、住宅ローンなど、専門資格を持つスタッフが多数在籍しております。お客様からの資料請求、お問い合わせをお待ちしております。

一部隣地にて道路開発のための農地転用許可が必要になります 行政相談済 敷地内に電柱がある可能性があります 移設相談可能です 私道負担あり/6平米 セットバック有

物件周辺施設までの距離

小学校
  • さいたま市立指扇北小学校 2,610m
  • 中学校
  • さいたま市立指扇中学校 2,420m
  • コンビニ
  • 680m
  • スーパー
  • 1,080m
  • ドラッグストア
  • 1,130m
  • 情報提供元:株式会社LIFULL

    物件取り扱い会社

    株式会社エステート白馬 上尾駅前店
    所在地: 埼玉県上尾市谷津2丁目1-1ショーサンプラザ(イトーヨーカ堂)5階
    免許番号: 国土交通大臣免許(06)第005817号
    所属団体名・公取協名: (公社)首都圏不動産公正取引協議会,(公社)全日本不動産協会埼玉県本部,(公社)全日本不動産協会,(公財)東日本不動産流通機構
    お問い合わせ番号: 66014-2304
    物件番号: 9510099638
    自社管理番号: 20000415119-003
    無料通話: 0037-634-06469
     ※音声案内に従いお問い合わせ番号を入力し、自社管理番号を不動産会社に伝えてください。
     ※光IP電話、及びIP電話からのご利用はいただけません。
    TEL: 0120-307-898

    直接お電話する場合は、「中古住宅ホームフォーユーを見て」とお伝えください。

    最寄り駅から土地を探す

    この物件の近くの土地を探す

    icon注文住宅を検討の方へ土地探しとあわせてハウスメーカー選びを始めましょう

    もし、土地探しを先行して進めて「ハウスメーカー選び」を後回しにすると、
    こんな失敗に陥るケースも…

    case.1
    住宅ローンの申請に「ハウスメーカー」の
    建築プランが必要だった
    case.2
    土地に費用をかけすぎて、建物の予算が
    足りなくなった

    このような失敗をしないためにも、ハウスメーカー選びを同時に進めましょう!

    「家づくりのとびら」サービスなら、
    土地探しからハウスメーカー選びまで、徹底サポート!

    • 資金計画のシミュレーションをしてもらえる
    • 予算やこだわりに沿ったハウスメーカーを教えてくれる
    • 土地探しに強いハウスメーカーを案内してくれる

    無料相談サービスで効率的に希望の家づくりを!

    お気に入りへ登録が完了しました
    お気に入りの削除が完了しました

    このページのトップへ

    埼玉県さいたま市西区大字宝来の物件情報なら、「中古住宅HOME4U」!
    「中古住宅HOME4U」は、NTTデータ・ウィズが運営する中古物件専門の情報サイトです。 埼玉県さいたま市西区大字宝来などの土地をはじめ、全国の新築仲介物件を含む土地情報が満載です。 埼玉県さいたま市西区大字宝来などの土地を沿線・エリア・相場価格などから検索でき、複数の不動産会社に無料で一括資料請求ができます。 埼玉県さいたま市西区大字宝来などの土地を探すなら、国内最大級の物件数を誇る「中古住宅HOME4U」をご利用ください! また、住み替えをご検討中の方は「不動産売却HOME4U」で、中古住宅の不動産査定をご利用ください。

    閉じる
    閉じる
    閉じる 全国15万棟のマンションの相場や口コミがわかる!完全無料でここまでできる?HOME4Uマンションプライスって知ってる?