不動産情報 > 中古住宅 > 土地 >  都道府県選択 >  新潟県の市区郡一覧 >  新潟県の土地 >  新発田市の土地 >  新潟県新発田市東新町1丁目

土地

新潟県新発田市東新町1丁目

価格 : 480万円

交通情報 :
  • 羽越本線 新発田 徒歩12分
  • 白新線 新発田 徒歩12分
Point
土地価格を抑えて建物に充てよう
  •  外観 

  •  外観 

  •  外観 

  •  間取り 

  •  前面道路(奥は行き止まりです) 

  •  前面道路 

  •  隣接地は畑となっております(2025年8月現在) 

物件の基本情報

所在地

新潟県新発田市東新町1丁目

交通
  • 羽越本線 新発田 徒歩12分
  • 白新線 新発田 徒歩12分
価格

480万円

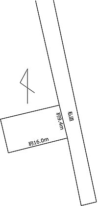
土地面積/坪(坪単価) 150.00m2(登記簿)/45.45坪(10.60万円) 代表的な接道 一方 私道 東 4m
※詳細は備考欄をご確認ください
登録日 2025年8月1日 有効期限 2026年1月26日 (あと12日)
前回情報更新日 2026年1月12日 次回情報更新日 2026年1月28日

お問合せ内容を指定して不動産会社に連絡してみませんか?

物件の特徴・設備・サービス

この物件のこだわり
  • 角地
  • 低層住居地域
  • 建築条件無
  • 土地権利・所有権
その他 公営水道 都市ガス 浄化槽 整形地 平坦地 複数路線 子育てに便利な施設が充実

物件の詳細情報

土地権利 所有権
セットバック 私道負担面積
都市計画 市街化区域 地目 宅地
用途地域 準工業地域 国土法届出 不要
総区画数
建ぺい率/容積率 60%/200% 保証金または敷金
権利金 施設費用/償却費
その他費用 消雪設備維持管理費 月額 1,000円、私道維持管理費 月額 1,000円 地勢 平坦
引渡し 相談 現況 古家あり更地引渡可

取引形態 仲介
設備
備考 【接道】 一方 ( 私道 東 4m )

建築基準法第43条第2項第2号の許可が必要となります(セットバック要確認)。
消雪設備維持管理費:月額1000円
私道維持管理費:月額1000円
融資ご利用の場合は、本承認後の測量・解体開始となり、完了までに約3か月程度かかる場合がございます。
買主負担により、水道管の引込みが必要となる場合がございます。
22条区域、景観法、宅地造成工事規制区域

物件周辺施設までの距離

小学校
  • 新発田市立東豊小学校 980m
  • コンビニ
  • 610m
  • スーパー
  • 1,180m
  • 病院
  • 1,010m
  • ドラッグストア
  • 680m
  • 銀行
  • 1,210m
  • 情報提供元:株式会社LIFULL

    物件取り扱い会社

    株式会社岩波不動産
    所在地: 新潟県新発田市本町3丁目5番16号
    免許番号: 新潟県知事(01)第005591号
    所属団体名・公取協名: (各都道府県)宅地建物取引業協会
    お問い合わせ番号: 76961-2300
    物件番号: 1471700000045
    無料通話: 0037-634-48293
     ※音声案内に従いお問い合わせ番号を入力し、物件番号を不動産会社に伝えてください。
     ※光IP電話、及びIP電話からのご利用はいただけません。
    TEL: 0254-26-1110

    直接お電話する場合は、「中古住宅ホームフォーユーを見て」とお伝えください。

    最寄り駅から土地を探す

    この物件の近くの土地を探す

    icon注文住宅を検討の方へ土地探しとあわせてハウスメーカー選びを始めましょう

    もし、土地探しを先行して進めて「ハウスメーカー選び」を後回しにすると、
    こんな失敗に陥るケースも…

    case.1
    住宅ローンの申請に「ハウスメーカー」の
    建築プランが必要だった
    case.2
    土地に費用をかけすぎて、建物の予算が
    足りなくなった

    このような失敗をしないためにも、ハウスメーカー選びを同時に進めましょう!

    「家づくりのとびら」サービスなら、
    土地探しからハウスメーカー選びまで、徹底サポート!

    • 資金計画のシミュレーションをしてもらえる
    • 予算やこだわりに沿ったハウスメーカーを教えてくれる
    • 土地探しに強いハウスメーカーを案内してくれる

    無料相談サービスで効率的に希望の家づくりを!

    お気に入りへ登録が完了しました
    お気に入りの削除が完了しました

    このページのトップへ

    新潟県新発田市東新町1丁目の物件情報なら、「中古住宅HOME4U」!
    「中古住宅HOME4U」は、NTTデータ・ウィズが運営する中古物件専門の情報サイトです。 新潟県新発田市東新町1丁目などの土地をはじめ、全国の新築仲介物件を含む土地情報が満載です。 新潟県新発田市東新町1丁目などの土地を沿線・エリア・相場価格などから検索でき、複数の不動産会社に無料で一括資料請求ができます。 新潟県新発田市東新町1丁目などの土地を探すなら、国内最大級の物件数を誇る「中古住宅HOME4U」をご利用ください! また、住み替えをご検討中の方は「不動産売却HOME4U」で、中古住宅の不動産査定をご利用ください。

    閉じる 「HOME4U家づくりのとびら」なら、無料で資金計画から土地探しまでトータルサポート。まずは無料で、家づくりプランの作成を依頼する。
    閉じる 「HOME4U家づくりのとびら」なら、無料で資金計画から土地探しまでトータルサポート。まずは無料で、家づくりプランの作成を依頼する。
    閉じる 全国15万棟のマンションの相場や口コミがわかる!完全無料でここまでできる?HOME4Uマンションプライスって知ってる?