不動産情報 > 中古住宅 > 土地 >  都道府県選択 >  神奈川県の市区郡一覧 >  神奈川県の土地 >  鎌倉市の土地 >  神奈川県鎌倉市由比ガ浜4丁目

土地

神奈川県鎌倉市由比ガ浜4丁目

価格 : 14,020万円

交通情報 :
  • 江ノ島電鉄 和田塚 徒歩6分
  • 横須賀線 鎌倉 徒歩16分
Point
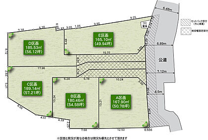
旧鎌倉市街地の由比ガ浜四丁目・5区画の開発分譲地です☆ 由比ヶ浜の海まで徒歩2分、江ノ電「和田塚」駅まで徒歩6分、ビーチからも近く鎌倉駅も徒歩圏☆ マリンスポーツを楽しみたい方、セカンドハウスとし
  •  現地写真 

  •  現地写真 

  •  現地写真 

  •  現地写真 

  •  現地写真 

  •  現地写真 

  •  間取り 

  •  上空から撮影した現地・近隣 

  •  上空から撮影した現地・近隣 

  •  その他 

  •  上空から撮影した現地・近隣 

  •  上空から撮影した現地・近隣 

  •  上空から撮影した現地・近隣 

  •  上空から撮影した現地 

  •  上空から撮影した現地 

  •  上空から撮影した現地 

  •  上空から撮影した現地 

物件の基本情報

所在地

神奈川県鎌倉市由比ガ浜4丁目

交通
  • 江ノ島電鉄 和田塚 徒歩6分
  • 横須賀線 鎌倉 徒歩16分
価格

14,020万円

土地面積/坪(坪単価) 167.90m2(実測)/50.88坪(275.60万円) 代表的な接道 公道 南東 4.5m
※詳細は備考欄をご確認ください
登録日 2025年11月7日 有効期限 2025年11月25日 (あと12日)
前回情報更新日 2025年11月12日 次回情報更新日 2025年11月27日

お問合せ内容を指定して不動産会社に連絡してみませんか?

物件の特徴・設備・サービス

この物件のこだわり
  • 角地
  • 低層住居地域
  • 建築条件無
  • 土地権利・所有権
その他 公営水道 都市ガス 下水 建築条件なし 所有権 上下水道 更地 複数路線

物件の詳細情報

土地権利 所有権
セットバック 私道負担面積
都市計画 市街化区域 地目 宅地
用途地域 第二種住居地域 国土法届出 不要
総区画数
建ぺい率/容積率 60%/200% 保証金または敷金
権利金 施設費用/償却費
その他費用
引渡し 相談 現況 更地

取引形態 仲介
設備
備考 【接道】 ( 公道 南東 4.5m )

※敷地面積に地役権設定部分2.13m2含む ※ゴミ置場持分:4.08m2×1/5有 ※鎌倉市指令開第2号 旧鎌倉市街地の由比ガ浜四丁目・5区画の開発分譲地です☆
由比ヶ浜の海まで徒歩2分、江ノ電「和田塚」駅まで徒歩6分、ビーチからも近く鎌倉駅も徒歩圏☆
マリンスポーツを楽しみたい方、セカンドハウスとしてもおすすめのロケーションです☆
A区画・B区画は建築条件無しでご紹介可能、ゆったりとした敷地にお

情報提供元:株式会社LIFULL

物件取り扱い会社

明治地所ハウジングセンター株式会社 鎌倉駅前店
所在地: 神奈川県鎌倉市小町1丁目5-30 小松屋ビル1F
免許番号: 神奈川県知事(11)第011269号
所属団体名・公取協名: (公財)東日本不動産流通機構
お問い合わせ番号: 94858-2300
物件番号: 1412520002402
自社管理番号: mkno24F039A
無料通話: 0037-634-96435
 ※音声案内に従いお問い合わせ番号を入力し、自社管理番号を不動産会社に伝えてください。
 ※光IP電話、及びIP電話からのご利用はいただけません。
TEL: 0467-23-7011

直接お電話する場合は、「中古住宅ホームフォーユーを見て」とお伝えください。

この物件の近くの土地を探す

icon注文住宅を検討の方へ土地探しとあわせてハウスメーカー選びを始めましょう

もし、土地探しを先行して進めて「ハウスメーカー選び」を後回しにすると、
こんな失敗に陥るケースも…

case.1
住宅ローンの申請に「ハウスメーカー」の
建築プランが必要だった
case.2
土地に費用をかけすぎて、建物の予算が
足りなくなった

このような失敗をしないためにも、ハウスメーカー選びを同時に進めましょう!

「家づくりのとびら」サービスなら、
土地探しからハウスメーカー選びまで、徹底サポート!

  • 資金計画のシミュレーションをしてもらえる
  • 予算やこだわりに沿ったハウスメーカーを教えてくれる
  • 土地探しに強いハウスメーカーを案内してくれる

無料相談サービスで効率的に希望の家づくりを!

お気に入りへ登録が完了しました
お気に入りの削除が完了しました

このページのトップへ

神奈川県鎌倉市由比ガ浜4丁目の物件情報なら、「中古住宅HOME4U」!
「中古住宅HOME4U」は、NTTデータ・ウィズが運営する中古物件専門の情報サイトです。 神奈川県鎌倉市由比ガ浜4丁目などの土地をはじめ、全国の新築仲介物件を含む土地情報が満載です。 神奈川県鎌倉市由比ガ浜4丁目などの土地を沿線・エリア・相場価格などから検索でき、複数の不動産会社に無料で一括資料請求ができます。 神奈川県鎌倉市由比ガ浜4丁目などの土地を探すなら、国内最大級の物件数を誇る「中古住宅HOME4U」をご利用ください! また、住み替えをご検討中の方は「不動産売却HOME4U」で、中古住宅の不動産査定をご利用ください。

閉じる
閉じる
閉じる 全国15万棟のマンションの相場や口コミがわかる!完全無料でここまでできる?HOME4Uマンションプライスって知ってる?