不動産情報 > 中古住宅 > 土地 >  都道府県選択 >  青森県の市区郡一覧 >  青森県の土地 >  八戸市の土地 >  青森県八戸市妙向野場

土地

青森県八戸市妙向野場

価格 : 660万円

交通情報 :
  • バス 野場バス停 降車 徒歩3分
  •  外観 

  •  間取り 

  •    

  •    

  •    

物件の基本情報

所在地

青森県八戸市妙向野場

交通
  • バス 野場バス停 降車 徒歩3分
価格

660万円

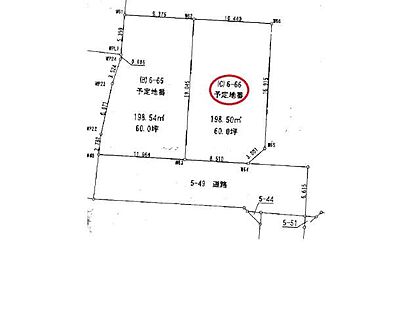
土地面積/坪(坪単価) 198.00m2(実測)/60坪(11.00万円) 代表的な接道 一方 公道 南 6m
※詳細は備考欄をご確認ください
登録日 2025年6月2日 有効期限 2026年3月17日 (あと6日)
前回情報更新日 2026年3月10日 次回情報更新日 2026年3月25日

お問合せ内容を指定して不動産会社に連絡してみませんか?

物件の特徴・設備・サービス

この物件のこだわり
  • 角地
  • 低層住居地域
  • 建築条件無
  • 土地権利・所有権
その他 公営水道 下水 建築条件なし 上下水道 前面道路6m以上 平坦地 バス停3分以内
物件の状況 即入居可
位置 低層住宅地 南道路

物件の詳細情報

土地権利 所有権
セットバック 私道負担面積
都市計画 市街化区域 地目 宅地
用途地域 第一種低層住居専用地域 国土法届出 不要
総区画数
建ぺい率/容積率 50%/80% 保証金または敷金
権利金 施設費用/償却費
その他費用 地勢 平坦
引渡し 即時 現況 更地

取引形態 仲介
設備
備考 【接道】 一方 ( 公道 南 6m )

・市道(幅員約6m)に接道 ・水道引き込み済(メーターボックス無) ・下水道あり(汚水桝への接続費用は買主様の負担となります。)
建築基準法22条区域、景観計画区域

情報提供元:株式会社LIFULL

物件取り扱い会社

有限会社ひまわり不動産
所在地: 青森県八戸市城下1丁目1-6
免許番号: 青森県知事(07)第002602号
所属団体名・公取協名: 東北地区不動産公正取引協議会,(公社)全日本不動産協会青森県本部,(公財)東日本不動産流通機構
お問い合わせ番号: 04677-2305
物件番号: 32800120000008
自社管理番号: homes-b-020084000001
無料通話: 0037-619-59781
 ※音声案内に従いお問い合わせ番号を入力し、自社管理番号を不動産会社に伝えてください。
 ※光IP電話、及びIP電話からのご利用はいただけません。
TEL: 0178-47-8903

直接お電話する場合は、「中古住宅ホームフォーユーを見て」とお伝えください。

最寄り駅から土地を探す

この物件の近くの土地を探す

icon注文住宅を検討の方へ土地探しとあわせてハウスメーカー選びを始めましょう

もし、土地探しを先行して進めて「ハウスメーカー選び」を後回しにすると、
こんな失敗に陥るケースも…

case.1
住宅ローンの申請に「ハウスメーカー」の
建築プランが必要だった
case.2
土地に費用をかけすぎて、建物の予算が
足りなくなった

このような失敗をしないためにも、ハウスメーカー選びを同時に進めましょう!

「家づくりのとびら」サービスなら、
土地探しからハウスメーカー選びまで、徹底サポート!

  • 資金計画のシミュレーションをしてもらえる
  • 予算やこだわりに沿ったハウスメーカーを教えてくれる
  • 土地探しに強いハウスメーカーを案内してくれる

無料相談サービスで効率的に希望の家づくりを!

お気に入りへ登録が完了しました
お気に入りの削除が完了しました

このページのトップへ

青森県八戸市妙向野場の物件情報なら、「中古住宅HOME4U」!
「中古住宅HOME4U」は、NTTデータ・ウィズが運営する中古物件専門の情報サイトです。 青森県八戸市妙向野場などの土地をはじめ、全国の新築仲介物件を含む土地情報が満載です。 青森県八戸市妙向野場などの土地を沿線・エリア・相場価格などから検索でき、複数の不動産会社に無料で一括資料請求ができます。 青森県八戸市妙向野場などの土地を探すなら、国内最大級の物件数を誇る「中古住宅HOME4U」をご利用ください! また、住み替えをご検討中の方は「不動産売却HOME4U」で、中古住宅の不動産査定をご利用ください。

閉じる 「HOME4U家づくりのとびら」なら、無料で資金計画から土地探しまでトータルサポート。まずは無料で、家づくりプランの作成を依頼する。
閉じる 「HOME4U家づくりのとびら」なら、無料で資金計画から土地探しまでトータルサポート。まずは無料で、家づくりプランの作成を依頼する。
閉じる 全国15万棟のマンションの相場や口コミがわかる!完全無料でここまでできる?HOME4Uマンションプライスって知ってる?