不動産情報 > 中古住宅 > 土地 >  都道府県選択 >  神奈川県の市区郡一覧 >  神奈川県の土地 >  平塚市の土地 >  神奈川県平塚市平塚3丁目

土地

神奈川県平塚市平塚3丁目

価格 : 2,920万円

交通情報 :
  • 東海道本線 平塚 バス5分 古花水 降車 徒歩4分
  • 東海道本線 平塚 徒歩18分
Point
自然豊かな分譲地!建築条件なし!敷地面積35坪以上!角地につき開放感あり!都市ガス利用可能! (20時まで電話対応可能)
  •  間取り 

  •  平塚駅 

  •  その他 

  •  その他 

  •  その他 

  •  その他 

  •  その他 

  •  その他 

  •  その他 

  •  その他 

  •  その他 

  •  その他 

  •  その他 

  •  その他 

  •  その他 

  •  その他 

  •  その他 

  •  その他 

  •  その他 

  •  その他 

  •  その他 

  •  その他 

  •  その他 

  •  その他 

  •  その他 

  •  その他 

  •  その他 

  •  その他 

  •  その他 

  •  その他 

物件の基本情報

所在地

神奈川県平塚市平塚3丁目

交通
  • 東海道本線 平塚 バス5分 古花水 降車 徒歩4分
  • 東海道本線 平塚 徒歩18分
価格

2,920万円

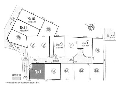
土地面積/坪(坪単価) 117.06m2/35.47坪(82.30万円) 接道
登録日 2025年5月26日 有効期限 2025年11月13日 (あと13日)
前回情報更新日 2025年10月30日 次回情報更新日 2025年11月14日

お問合せ内容を指定して不動産会社に連絡してみませんか?

物件の特徴・設備・サービス

この物件のこだわり
  • 角地
  • 低層住居地域
  • 建築条件無
  • 土地権利・所有権
その他 公営水道 都市ガス 下水 建築条件なし 所有権 上下水道 更地 複数路線 オンライン相談可

物件の詳細情報

土地権利 所有権
セットバック 私道負担面積
都市計画 市街化区域 地目 宅地
用途地域 第一種住居地域 国土法届出 不要
総区画数
建ぺい率/容積率 60%/200% 保証金または敷金
権利金 施設費用/償却費
その他費用
引渡し 相談 現況 更地

取引形態 仲介
設備
備考

情報提供元:株式会社LIFULL

物件取り扱い会社

アプリコットホーム株式会社
所在地: 神奈川県平塚市四之宮5丁目20-18
免許番号: 神奈川県知事(4)第26230号
所属団体名・公取協名: (公社)首都圏不動産公正取引協議会,(公社)神奈川県宅地建物取引業協会
お問い合わせ番号: 70657-2300
物件番号: 1081360026314
無料通話: 0037-634-06912
 ※音声案内に従いお問い合わせ番号を入力し、物件番号を不動産会社に伝えてください。
 ※光IP電話、及びIP電話からのご利用はいただけません。
TEL: 0463-51-2008

直接お電話する場合は、「中古住宅ホームフォーユーを見て」とお伝えください。

最寄り駅から土地を探す

この物件の近くの土地を探す

icon注文住宅を検討の方へ土地探しとあわせてハウスメーカー選びを始めましょう

もし、土地探しを先行して進めて「ハウスメーカー選び」を後回しにすると、
こんな失敗に陥るケースも…

case.1
住宅ローンの申請に「ハウスメーカー」の
建築プランが必要だった
case.2
土地に費用をかけすぎて、建物の予算が
足りなくなった

このような失敗をしないためにも、ハウスメーカー選びを同時に進めましょう!

「家づくりのとびら」サービスなら、
土地探しからハウスメーカー選びまで、徹底サポート!

  • 資金計画のシミュレーションをしてもらえる
  • 予算やこだわりに沿ったハウスメーカーを教えてくれる
  • 土地探しに強いハウスメーカーを案内してくれる

無料相談サービスで効率的に希望の家づくりを!

お気に入りへ登録が完了しました
お気に入りの削除が完了しました

このページのトップへ

神奈川県平塚市平塚3丁目の物件情報なら、「中古住宅HOME4U」!
「中古住宅HOME4U」は、NTTデータ・ウィズが運営する中古物件専門の情報サイトです。 神奈川県平塚市平塚3丁目などの土地をはじめ、全国の新築仲介物件を含む土地情報が満載です。 神奈川県平塚市平塚3丁目などの土地を沿線・エリア・相場価格などから検索でき、複数の不動産会社に無料で一括資料請求ができます。 神奈川県平塚市平塚3丁目などの土地を探すなら、国内最大級の物件数を誇る「中古住宅HOME4U」をご利用ください! また、住み替えをご検討中の方は「不動産売却HOME4U」で、中古住宅の不動産査定をご利用ください。

閉じる
閉じる
閉じる 全国15万棟のマンションの相場や口コミがわかる!完全無料でここまでできる?HOME4Uマンションプライスって知ってる?