不動産情報 > 中古住宅 > 土地 >  都道府県選択 >  東京都の市区郡一覧 >  東京都の土地 >  八王子市の土地 >  東京都八王子市小宮町

土地

東京都八王子市小宮町

価格 : 1,840万円

交通情報 :
  • 八高線 小宮 徒歩4分
  •  外観 

  •  その他 

  •    

  •    

物件の基本情報

所在地

東京都八王子市小宮町

交通
  • 八高線 小宮 徒歩4分
価格

1,840万円

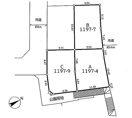
土地面積/坪(坪単価) 151.98m2(登記簿)/46.05坪(40.00万円) 接道
登録日 2025年5月22日 有効期限 2025年11月28日 (あと14日)
前回情報更新日 2025年11月12日 次回情報更新日 2025年11月28日

お問合せ内容を指定して不動産会社に連絡してみませんか?

物件の特徴・設備・サービス

この物件のこだわり
  • 角地
  • 低層住居地域
  • 建築条件無
  • 土地権利・所有権
その他 水道その他 都市ガス 下水 建築条件なし 所有権 更地
位置 低層住宅地
周辺環境 小学校 800m以内

物件の詳細情報

土地権利 所有権
セットバック 私道負担面積
都市計画 市街化区域 地目 宅地
用途地域 第一種低層住居専用地域 国土法届出 不要
総区画数
建ぺい率/容積率 40%/80% 保証金または敷金
権利金 施設費用/償却費
その他費用
引渡し 相談 現況 更地

取引形態 仲介
設備
備考

物件周辺施設までの距離

小学校
  • 市立小宮小学校 220m
  • 中学校
  • 市立石川中学校 1,022m
  • 情報提供元:株式会社LIFULL

    物件取り扱い会社

    山一商事株式会社
    所在地: 東京都八王子市宇津木町659
    免許番号: 東京都知事免許(15)第013179号
    所属団体名・公取協名: (各都道府県)宅地建物取引業協会
    お問い合わせ番号: 19327-2307
    物件番号: 1230070000021
    自社管理番号: 5103428017
    無料通話: 0037-634-65959
     ※音声案内に従いお問い合わせ番号を入力し、自社管理番号を不動産会社に伝えてください。
     ※光IP電話、及びIP電話からのご利用はいただけません。
    TEL: 042-644-3737

    直接お電話する場合は、「中古住宅ホームフォーユーを見て」とお伝えください。

    最寄り駅から土地を探す

    この物件の近くの土地を探す

    icon注文住宅を検討の方へ土地探しとあわせてハウスメーカー選びを始めましょう

    もし、土地探しを先行して進めて「ハウスメーカー選び」を後回しにすると、
    こんな失敗に陥るケースも…

    case.1
    住宅ローンの申請に「ハウスメーカー」の
    建築プランが必要だった
    case.2
    土地に費用をかけすぎて、建物の予算が
    足りなくなった

    このような失敗をしないためにも、ハウスメーカー選びを同時に進めましょう!

    「家づくりのとびら」サービスなら、
    土地探しからハウスメーカー選びまで、徹底サポート!

    • 資金計画のシミュレーションをしてもらえる
    • 予算やこだわりに沿ったハウスメーカーを教えてくれる
    • 土地探しに強いハウスメーカーを案内してくれる

    無料相談サービスで効率的に希望の家づくりを!

    お気に入りへ登録が完了しました
    お気に入りの削除が完了しました

    このページのトップへ

    東京都八王子市小宮町の物件情報なら、「中古住宅HOME4U」!
    「中古住宅HOME4U」は、NTTデータ・ウィズが運営する中古物件専門の情報サイトです。 東京都八王子市小宮町などの土地をはじめ、全国の新築仲介物件を含む土地情報が満載です。 東京都八王子市小宮町などの土地を沿線・エリア・相場価格などから検索でき、複数の不動産会社に無料で一括資料請求ができます。 東京都八王子市小宮町などの土地を探すなら、国内最大級の物件数を誇る「中古住宅HOME4U」をご利用ください! また、住み替えをご検討中の方は「不動産売却HOME4U」で、中古住宅の不動産査定をご利用ください。

    閉じる
    閉じる
    閉じる 全国15万棟のマンションの相場や口コミがわかる!完全無料でここまでできる?HOME4Uマンションプライスって知ってる?