不動産情報 > 中古住宅 > 土地 >  都道府県選択 >  静岡県の市区郡一覧 >  静岡県の土地 >  富士宮市の土地 >  静岡県富士宮市星山

土地

静岡県富士宮市星山

価格 : 560万円

交通情報 :
  • 身延線 富士宮 バス13分 山梨交通 星山団地 降車 徒歩5分
Point
閑静な住宅地
  •  外観 

  •  間取り 

  •    

  •    

  •    

  •    

  •    

  •  星山団地バス停時刻表 

  •  星山団地バス停 

物件の基本情報

所在地

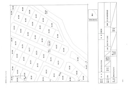
静岡県富士宮市星山85番286

交通
  • 身延線 富士宮 バス13分 山梨交通 星山団地 降車 徒歩5分
価格

560万円

土地面積/坪(坪単価) 188.17m2(登記簿)/57.02坪(9.80万円) 代表的な接道 公道 東 4m
※詳細は備考欄をご確認ください
登録日 2025年7月28日 有効期限 2025年11月13日 (あと6日)
前回情報更新日 2025年10月30日 次回情報更新日 2025年11月21日

お問合せ内容を指定して不動産会社に連絡してみませんか?

物件の特徴・設備・サービス

この物件のこだわり
  • 角地
  • 低層住居地域
  • 建築条件無
  • 土地権利・所有権
その他 公営水道 下水 所有権 上下水道 平坦地 更地

物件の詳細情報

土地権利 所有権
セットバック 私道負担面積
都市計画 市街化調整区域 地目 宅地
用途地域 無指定 国土法届出 不要
総区画数
建ぺい率/容積率 70%/200% 保証金または敷金
権利金 施設費用/償却費
その他費用 地勢 平坦
引渡し 相談 現況 更地

取引形態 仲介
設備
備考 【接道】 ( 公道 東 4m )
自主規制・分割不可・床面30m2以上二階以下・店舗借家不可

物件周辺施設までの距離

小学校
  • 黒田小学校 1,860m
  • 中学校
  • 富士宮第三中学校 2,000m
  • 情報提供元:株式会社LIFULL

    物件取り扱い会社

    河原崎建設株式会社
    所在地: 静岡県富士宮市東阿幸地325
    免許番号: 静岡県知事(8)第7446号
    所属団体名・公取協名: (公社)全日本不動産協会,所属団体未加入
    お問い合わせ番号: 15266-2307
    物件番号: 33321030000084
    自社管理番号: 00113284
    無料通話: 0037-634-70159
     ※音声案内に従いお問い合わせ番号を入力し、自社管理番号を不動産会社に伝えてください。
     ※光IP電話、及びIP電話からのご利用はいただけません。
    TEL: 0544-27-8716

    直接お電話する場合は、「中古住宅ホームフォーユーを見て」とお伝えください。

    最寄り駅から土地を探す

    この物件の近くの土地を探す

    icon注文住宅を検討の方へ土地探しとあわせてハウスメーカー選びを始めましょう

    もし、土地探しを先行して進めて「ハウスメーカー選び」を後回しにすると、
    こんな失敗に陥るケースも…

    case.1
    住宅ローンの申請に「ハウスメーカー」の
    建築プランが必要だった
    case.2
    土地に費用をかけすぎて、建物の予算が
    足りなくなった

    このような失敗をしないためにも、ハウスメーカー選びを同時に進めましょう!

    「家づくりのとびら」サービスなら、
    土地探しからハウスメーカー選びまで、徹底サポート!

    • 資金計画のシミュレーションをしてもらえる
    • 予算やこだわりに沿ったハウスメーカーを教えてくれる
    • 土地探しに強いハウスメーカーを案内してくれる

    無料相談サービスで効率的に希望の家づくりを!

    お気に入りへ登録が完了しました
    お気に入りの削除が完了しました

    このページのトップへ

    静岡県富士宮市星山の物件情報なら、「中古住宅HOME4U」!
    「中古住宅HOME4U」は、NTTデータ・ウィズが運営する中古物件専門の情報サイトです。 静岡県富士宮市星山などの土地をはじめ、全国の新築仲介物件を含む土地情報が満載です。 静岡県富士宮市星山などの土地を沿線・エリア・相場価格などから検索でき、複数の不動産会社に無料で一括資料請求ができます。 静岡県富士宮市星山などの土地を探すなら、国内最大級の物件数を誇る「中古住宅HOME4U」をご利用ください! また、住み替えをご検討中の方は「不動産売却HOME4U」で、中古住宅の不動産査定をご利用ください。

    閉じる
    閉じる
    閉じる 全国15万棟のマンションの相場や口コミがわかる!完全無料でここまでできる?HOME4Uマンションプライスって知ってる?