| 所在地 | 北海道札幌市南区簾舞二条4丁目 | ||
|---|---|---|---|
| 交通 | 
 | ||
| 価格 | |||
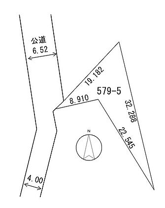
| 土地面積/坪(坪単価) | 163.13m2(登記簿)/49.43坪(1.20万円) | 代表的な接道 | 一方 公道 北 6.5m ※詳細は備考欄をご確認ください | 
| 登録日 | 2023年12月7日 | 有効期限 | 2025年11月14日 (あと14日) | 
| 前回情報更新日 | 2025年10月30日 | 次回情報更新日 | 2025年11月14日 | 
| この物件のこだわり | 
 | 
|---|---|
| その他 | ●公営水道 ●下水 ●建築条件なし ●所有権 ●上下水道 ●前面道路6m以上 ●更地 ●バス停3分以内 | 
| 位置 | ●低層住宅地 | 
| 土地権利 | 所有権 | ||
|---|---|---|---|
| セットバック | 無 | 私道負担面積 | − | 
| 都市計画 | 市街化区域 | 地目 | 宅地 | 
| 用途地域 | 第一種低層住居専用地域 | 国土法届出 | 不要 | 
| 総区画数 | − | ||
| 建ぺい率/容積率 | 40%/80% | 保証金または敷金 | − | 
| 権利金 | − | 施設費用/償却費 | − | 
| その他費用 | − | 地勢 | 傾斜地 | 
| 引渡し | 相談 | 現況 | 更地 | 
| 取引形態 | 仲介 | ||
| 設備 | − | ||
| 備考 | 【接道】 一方 ( 公道 北 6.5m ) [物件コード]133001-22450 再建築不可 | ||
センチュリー21アルクホーム  (株)アルクホーム
所在地: 北海道札幌市中央区南二条西10丁目1-4第2サントービル8F 
免許番号: 北海道知事石狩(3)第7835号
所属団体名・公取協名: (公社)北海道宅地建物取引業協会,(一社)北海道不動産公正取引協議会
お問い合わせ番号: 35321-2305
物件番号: 85280001986
自社管理番号: 133001-22450
無料通話: 0037-634-10925
 ※音声案内に従いお問い合わせ番号を入力し、自社管理番号を不動産会社に伝えてください。
 ※光IP電話、及びIP電話からのご利用はいただけません。
TEL: 0120-288-622
直接お電話する場合は、「中古住宅ホームフォーユーを見て」とお伝えください。
このような失敗をしないためにも、ハウスメーカー選びを同時に進めましょう!
無料相談サービスで効率的に希望の家づくりを!
 
