不動産情報 > 中古住宅 > 土地 >  都道府県選択 >  福岡県の市区郡一覧 >  福岡県の土地 >  北九州市八幡東区の土地 >  福岡県北九州市八幡東区帆柱3丁目

土地

福岡県北九州市八幡東区帆柱3丁目

価格 : 250万円

交通情報 :
  • 鹿児島本線 八幡 徒歩16分
  • 鹿児島本線 スペースワールド 徒歩25分
Point
約68坪、閑静な住宅街です。八幡駅まで徒歩16分、西鉄バス「帆柱登山口」まで徒歩2分です。
  •  皿倉小、尾倉中エリアです。 

  •  閑静な住宅街です。子育てにも安心ですね。 

  •  八幡駅まで徒歩16分、西鉄バス「帆柱登山口」まで徒歩2分です。 

  •  約68坪の古屋付の土地です。 

  •  北九州市立尾倉中学校(495m) 

  •  北九州市立皿倉小学校(839m) 

  •  尾倉幼稚園(592m) 

  •  北九州市立八幡病院(818m) 

  •  八幡尾倉郵便局(768m) 

  •  スピナマートさくら通り店(944m) 

  •  セブンイレブン八幡祇園3丁目店(966m) 

  •  サンキュードラッグ平野店(815m) 

  •  八幡駅まで徒歩16分、西鉄バス「帆柱登山口」まで徒歩2分です。 

  •  近所の方との距離が近いと困ったときに助け合いが出来そうですね。 

物件の基本情報

所在地

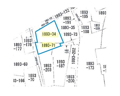
福岡県北九州市八幡東区帆柱3丁目2-25

交通
  • 鹿児島本線 八幡 徒歩16分
  • 鹿児島本線 スペースワールド 徒歩25分
価格

250万円

土地面積/坪(坪単価) 225.84m2(登記簿)/68.44坪(3.70万円) 代表的な接道 私道 北 2m、西 2m
※詳細は備考欄をご確認ください
登録日 2022年3月28日 有効期限 2026年3月28日 (あと13日)
前回情報更新日 2026年3月7日 次回情報更新日 2026年3月28日

お問合せ内容を指定して不動産会社に連絡してみませんか?

物件の特徴・設備・サービス

この物件のこだわり
  • 角地
  • 低層住居地域
  • 建築条件無
  • 土地権利・所有権
その他 公営水道 下水 建築条件なし 上下水道 子育てに便利な施設が充実 オンライン相談可
物件の状況 即入居可

物件の詳細情報

土地権利 所有権
セットバック 私道負担面積
都市計画 市街化区域 地目 宅地
用途地域 第一種中高層住居専用地域 国土法届出 不要
総区画数
建ぺい率/容積率 60%/200% 保証金または敷金
権利金 施設費用/償却費
その他費用
引渡し 即時 現況 古家有

取引形態 仲介
設備
備考 【接道】 ( 私道 北 2m ) ( 私道 西 2m )

西鉄バス「帆柱登山口」徒歩2分、上物あり(木造平家建、75.6平米、築年数不詳)、前面道路:二項道路 ※私道、持ち分がない為、融資利用が難しい場合があります。

物件周辺施設までの距離

小学校
  • 北九州市立皿倉小学校 839m
  • 中学校
  • 北九州市立尾倉中学校 495m
  • コンビニ
  • 966m
  • スーパー
  • 944m
  • 病院
  • 818m
  • ドラッグストア
  • 815m
  • 情報提供元:株式会社LIFULL

    物件取り扱い会社

    株式会社不動産のデパートひろた 売買営業課
    所在地: 福岡県北九州市八幡東区山王1丁目11-1
    免許番号: 国土交通大臣(05)第006432号
    所属団体名・公取協名: (公社)西日本不動産流通機構
    お問い合わせ番号: 53050-2306
    物件番号: 1313660002982
    自社管理番号: G32-115
    無料通話: 0037-634-16119
     ※音声案内に従いお問い合わせ番号を入力し、自社管理番号を不動産会社に伝えてください。
     ※光IP電話、及びIP電話からのご利用はいただけません。
    TEL: 0120-210-393

    直接お電話する場合は、「中古住宅ホームフォーユーを見て」とお伝えください。

    icon注文住宅を検討の方へ土地探しとあわせてハウスメーカー選びを始めましょう

    もし、土地探しを先行して進めて「ハウスメーカー選び」を後回しにすると、
    こんな失敗に陥るケースも…

    case.1
    住宅ローンの申請に「ハウスメーカー」の
    建築プランが必要だった
    case.2
    土地に費用をかけすぎて、建物の予算が
    足りなくなった

    このような失敗をしないためにも、ハウスメーカー選びを同時に進めましょう!

    「家づくりのとびら」サービスなら、
    土地探しからハウスメーカー選びまで、徹底サポート!

    • 資金計画のシミュレーションをしてもらえる
    • 予算やこだわりに沿ったハウスメーカーを教えてくれる
    • 土地探しに強いハウスメーカーを案内してくれる

    無料相談サービスで効率的に希望の家づくりを!

    お気に入りへ登録が完了しました
    お気に入りの削除が完了しました

    このページのトップへ

    福岡県北九州市八幡東区帆柱3丁目の物件情報なら、「中古住宅HOME4U」!
    「中古住宅HOME4U」は、NTTデータ・ウィズが運営する中古物件専門の情報サイトです。 福岡県北九州市八幡東区帆柱3丁目などの土地をはじめ、全国の新築仲介物件を含む土地情報が満載です。 福岡県北九州市八幡東区帆柱3丁目などの土地を沿線・エリア・相場価格などから検索でき、複数の不動産会社に無料で一括資料請求ができます。 福岡県北九州市八幡東区帆柱3丁目などの土地を探すなら、国内最大級の物件数を誇る「中古住宅HOME4U」をご利用ください! また、住み替えをご検討中の方は「不動産売却HOME4U」で、中古住宅の不動産査定をご利用ください。

    閉じる 「HOME4U家づくりのとびら」なら、無料で資金計画から土地探しまでトータルサポート。まずは無料で、家づくりプランの作成を依頼する。
    閉じる 「HOME4U家づくりのとびら」なら、無料で資金計画から土地探しまでトータルサポート。まずは無料で、家づくりプランの作成を依頼する。
    閉じる 全国15万棟のマンションの相場や口コミがわかる!完全無料でここまでできる?HOME4Uマンションプライスって知ってる?