不動産情報 > 中古住宅 > 土地 >  都道府県選択 >  静岡県の市区郡一覧 >  静岡県の土地 >  掛川市の土地 >  静岡県掛川市細田 >  静岡県掛川市細田を取り扱う不動産店一覧

静岡県掛川市細田の取り扱い不動産店一覧

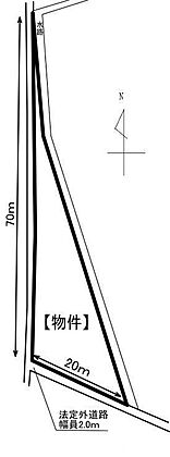
土地

価格
195万円
交通
JR東海道本線 掛川駅 徒歩38分
所在地
静岡県掛川市細田
建築条件
186.03坪
坪単価
1.00万円
土地面積
613.91m2
  • チェックした物件を

  • まとめて資料請求する(無料)
  • お気に入りに入れる

株式会社アーガス

会社情報
所在地 静岡県掛川市細田229-1
営業時間 09:00-19:00
定休日 水曜店休、年末年始休、夏季休業等
自社管理番号 00111201
  • お問い合せ 0037-634-00898
  • 資料請求する(無料)
  • お気に入りに入れる お気に入りから削除
お気に入りへ登録が完了しました
お気に入りの削除が完了しました

このページのトップへ

「中古住宅HOME4U」は、NTTデータ・ウィズが運営する中古物件専門の情報サイトです。全国の、新築仲介物件を含む中古マンション・中古一戸建て・土地を、沿線・エリア・相場価格などから検索でき、複数の不動産会社に無料で一括資料請求が可能です。また、住み替えをご検討中の方は「不動産売却HOME4U」で、中古住宅の不動産査定もご利用ください。

閉じる
閉じる
閉じる 全国15万棟のマンションの相場や口コミがわかる!完全無料でここまでできる?HOME4Uマンションプライスって知ってる?