不動産情報 > 中古住宅 > 土地 >  都道府県選択 >  埼玉県の市区郡一覧 >  埼玉県の土地 >  さいたま市桜区の土地 >  埼玉県さいたま市桜区栄和1丁目

土地

埼玉県さいたま市桜区栄和1丁目

価格 : 2,255万円

交通情報 :
  • 埼京線 南与野 徒歩24分
  • 京浜東北・根岸線 浦和 バス26分 栄和 降車 徒歩7分
Point
見学予約受付中!エステート白馬 大宮SQM店 当日のご見学もご相談ください。
  •  現況と相違がある場合は現況を優先させていただきます。  

  •  さいたま市立栄和小学校(520m) 

  •  さいたま市立土合中学校(960m) 

  •  JR京浜東北線「浦和」駅(4480m) 

  •  JR埼京線「南与野」駅(2100m) 

  •  JR武蔵野線「西浦和」駅(2630m) 

物件の基本情報

所在地

埼玉県さいたま市桜区栄和1丁目

交通
  • 埼京線 南与野 徒歩24分
  • 京浜東北・根岸線 浦和 バス26分 栄和 降車 徒歩7分
価格

2,255万円

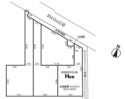
土地面積/坪(坪単価) 104.67m2(登記簿)/31.72坪(71.10万円) 代表的な接道 一方 公道 北 4m
※詳細は備考欄をご確認ください
登録日 2025年10月25日 有効期限 2025年11月25日 (あと13日)
前回情報更新日 2025年11月11日 次回情報更新日 2025年11月26日

お問合せ内容を指定して不動産会社に連絡してみませんか?

物件の特徴・設備・サービス

この物件のこだわり
  • 角地
  • 低層住居地域
  • 建築条件無
  • 土地権利・所有権
その他 公営水道 都市ガス 下水 建築条件付き 所有権 上下水道 更地 複数路線
周辺環境 小学校 800m以内

物件の詳細情報

土地権利 所有権
セットバック 私道負担面積
都市計画 市街化区域 地目 田・畑
用途地域 第一種住居地域 国土法届出 不要
総区画数
建ぺい率/容積率 70%/200% 保証金または敷金
権利金 施設費用/償却費
その他費用
引渡し 相談 現況 更地

取引形態 仲介
設備
備考 【接道】 一方 ( 公道 北 4m )

管理番号:100136495297 土地面積:路地状部分約20平米含 住宅用地 ご見学にあわせて、無料の外部FP相談をご利用頂けます。マイホーム購入だけでなく、老後の資金計画・お子様の教育資金等のライフシュミレーションを考慮した上で、無理のない返済計画をご提案させていただきます。

*防火指定 22条区域 *景観法、宅地造成及び特定盛土等規制法 *ゴミ置場3.61平米(持分各1/12)
建築条件付き (建築条件付きとは)

物件周辺施設までの距離

小学校
  • さいたま市立栄和小学校 520m
  • 中学校
  • さいたま市立土合中学校 960m
  • 情報提供元:株式会社LIFULL

    物件取り扱い会社

    株式会社エステート白馬 大宮サクラスクエアモール店
    所在地: 埼玉県さいたま市大宮区桜木町2丁目902 大宮サクラスクエアモール
    免許番号: 国土交通大臣(06)第005817号
    所属団体名・公取協名: (公社)首都圏不動産公正取引協議会,(公社)全日本不動産協会埼玉県本部,(公財)東日本不動産流通機構
    お問い合わせ番号: 31787-2305
    物件番号: 1547600001509
    自社管理番号: 20000428665
    無料通話: 0037-619-01568
     ※音声案内に従いお問い合わせ番号を入力し、自社管理番号を不動産会社に伝えてください。
     ※光IP電話、及びIP電話からのご利用はいただけません。
    TEL: 048-615-0588

    直接お電話する場合は、「中古住宅ホームフォーユーを見て」とお伝えください。

    icon注文住宅を検討の方へ土地探しとあわせてハウスメーカー選びを始めましょう

    もし、土地探しを先行して進めて「ハウスメーカー選び」を後回しにすると、
    こんな失敗に陥るケースも…

    case.1
    住宅ローンの申請に「ハウスメーカー」の
    建築プランが必要だった
    case.2
    土地に費用をかけすぎて、建物の予算が
    足りなくなった

    このような失敗をしないためにも、ハウスメーカー選びを同時に進めましょう!

    「家づくりのとびら」サービスなら、
    土地探しからハウスメーカー選びまで、徹底サポート!

    • 資金計画のシミュレーションをしてもらえる
    • 予算やこだわりに沿ったハウスメーカーを教えてくれる
    • 土地探しに強いハウスメーカーを案内してくれる

    無料相談サービスで効率的に希望の家づくりを!

    お気に入りへ登録が完了しました
    お気に入りの削除が完了しました

    このページのトップへ

    埼玉県さいたま市桜区栄和1丁目の物件情報なら、「中古住宅HOME4U」!
    「中古住宅HOME4U」は、NTTデータ・ウィズが運営する中古物件専門の情報サイトです。 埼玉県さいたま市桜区栄和1丁目などの土地をはじめ、全国の新築仲介物件を含む土地情報が満載です。 埼玉県さいたま市桜区栄和1丁目などの土地を沿線・エリア・相場価格などから検索でき、複数の不動産会社に無料で一括資料請求ができます。 埼玉県さいたま市桜区栄和1丁目などの土地を探すなら、国内最大級の物件数を誇る「中古住宅HOME4U」をご利用ください! また、住み替えをご検討中の方は「不動産売却HOME4U」で、中古住宅の不動産査定をご利用ください。

    閉じる
    閉じる
    閉じる 全国15万棟のマンションの相場や口コミがわかる!完全無料でここまでできる?HOME4Uマンションプライスって知ってる?